Τουλάχιστον τέσσερις νεκροί από την τραγική κατάρρευση της πεζογέφυρας στο Μαϊάμι (βίντεο)
Τουλάχιστον τέσσερις άνθρωποι σκοτώθηκαν από την κατάρρευση πεζογέφυρας σε αυτοκινητόδρομο της κομητείας Μαϊάμι-Ντέιντ, κοντά στο Διεθνές Πανεπιστήμιο της Φλόριντα, όπως…
Περισσότερα »
Κατέρρευσε πεζογέφυρα στο Πανεπιστήμιο του Μαϊάμι – Φόβοι για πολλούς νεκρούς
Φόβους για πολλά θύματα και μεγάλη τραγωδία εκφράζουν οι αμερικανικές αρχές, μετά την κατάρρευση μεγάλης πεζογέφυρας εντός των εγκαταστάσεων του…
Περισσότερα »
Διαβάστε ποιες μεγαλουπόλεις ξεμένουν από νερό εξαιτίας κλιματικής αλλαγής ή υπερπληθυσμού
Το Κέιπ Τάουν, η πόλη της Νότιας Αφρικής με πληθυσμό 4 εκατομμυρίων ανθρώπων, αναμένεται να ξεμείνει από καθαρό πόσιμο νερό…
Περισσότερα »
Συνέλαβαν 7χρονο επειδή επιτέθηκε στη δασκάλα του στο Μαϊάμι (βίντεο)
Ενα αγόρι μόλις επτά ετών, με χειροπέδες στα χέρια και μια αστυνομικός δίπλα του να το οδηγεί στο περιπολικό, με…
Περισσότερα »
American Crime Story: Στον χώρο της δολοφονίας διάσημου μόδιστρου τα γυρίσματα της νέας σειράς
Το σπίτι του Τζιάνι Βερσάτσε στο Μαϊάμι, στα σκαλιά του οποίου δολοφονήθηκε, έχει μετατραπεί εδώ και χρόνια σε ένα μπουτίκ…
Περισσότερα »
Σοκάρει η 29χρονη μάνα: Καλά έκανα και έκαψα το χέρι του 6χρονου νταή γιου μου
Σοκάρει με τα όσα λέει μια 29χρονη μητέρα η οποία κατηγορείται ότι κακοποίησε σωματικά το 6χρονο παιδί της, βάζοντας το…
Περισσότερα »
Τυφώνας Ίρμα: “Φύγετε τώρα εάν θέλετε να ζήσετε” διέταξε ο κυβερνήτης της Φλόριντα
«Φύγετε τώρα! Δεν θα επιβιώσετε!». Ο κυβερνήτης της Φλόριντα απηύθυνε αγωνιώδη έκκληση στους κατοίκους του Μαϊάμι και των υπόλοιπων περιοχών…
Περισσότερα »
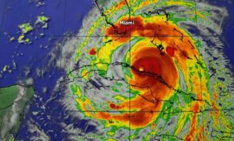
Ο τυφώνας Ίρμα πλησιάζει το Μαϊάμι – Έξι εκατομμύρια άνθρωποι εκκενώνουν την πόλη
Ο τυφώνας Ίρμα απειλεί να καταστρέψει 8,5 εκατομμύρια κτίρια στη Φλόριντα, την ώρα που το Μαϊάμι θυμίζει πόλη – φάντασμα,…
Περισσότερα »
Η σεξοβόμβα Κλαούντια Ρομάνι προκαλεί… τσουνάμι (φωτο)
H Κλαούντια Ρομάνι λατρεύει το καλοκαίρι και γι αυτό το λόγο βρέθηκε στο αγαπημένο της Μαϊάμι για να απολαύσει τον…
Περισσότερα »
Στις ΗΠΑ οι εξόριστοι Κουβανοί πανηγυρίζουν για τον θάνατο του Κάστρο
Στις ΗΠΑ εξόριστοι Κουβανοί πανηγυρίζουν για τον θάνατο του Κάστρο, μια ακραία και απαράδεκτη αντίδραση, η οποία ωστόσο θεωρείται αναμενόμενη,…
Περισσότερα »
Λύθηκε το μυστήριο για το τι συμβαίνει στο Τρίγωνο των Βερμούδων;
Μια ακόμη θεωρία έρχεται να προστεθεί στις ουκ ολίγες θεωρίες που επιχειρούν να εξηγήσουν το τι συμβαίνει στο Τρίγωνο των…
Περισσότερα »
Πανικός στη Φλόριντα : Εστία του ιού Ζίκα παραλία του Μαϊάμι
Έντονη ανησυχία διακατέχει τις αρχές της πολιτείας της Φλόριντα των ΗΠΑ. Όπως ανακοίνωσαν την Παρασκευή αξιωματούχοι της Πολιτείας, ανακάλυψαν εστία…
Περισσότερα »
Δεύτερο παιδί θέλει ο Κριστιάνο Ρονάλντο
Παρουσιάστρια από την Πορτογαλία αποκάλυψε πως ο Κριστιάνο Ρονάλντο ταξίδεψε τα Χριστούγεννα μέχρι το Μαϊάμι, για να αποκτήσει το δεύτερο παιδί…
Περισσότερα »
Πέρασαν για έκθεμα μαχαιρωμένη κοπέλα σε έκθεση με έργα τέχνης
Επίθεση με μαχαίρι δέχτηκε στα καλά καθούμενα μία νεαρή κοπέλα, κατά την επίσκεψή της στην έκθεση με έργα τέχνης, Art…
Περισσότερα »
Η νύφη έβγαλε το νυφικό και τρέλανε γαμπρό και καλεσμένους με τον χορό της! (βίντεο)
Ένα γαμήλιο γλέντι διαφορετικό από τα συνηθισμένα έγινε στις ΗΠΑ, με την νύφη να τα δίνει όλα πάνω στην πίστα….
Περισσότερα »

















































































































